Melissa Kasırgası ülkeye ulaştı... Alarm durumu en tehlikeli seviyede

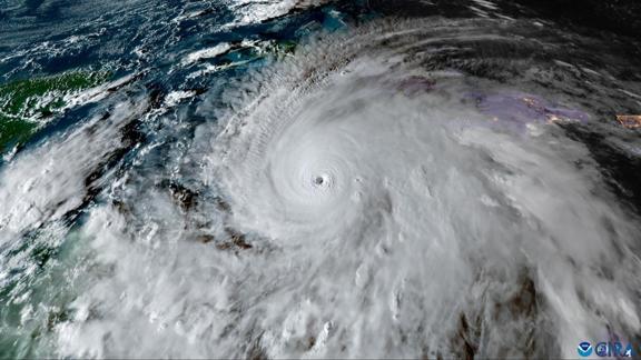
Karayipler bölgesinde hızını artıran Melissa Kasırgası'nın, Jamaika'nın güneybatısında yer alan New Hope bölgesine ulaştığı bildirildi.

AA

ABD Ulusal Kasırga Merkezinden yapılan açıklamada, Atlantik Okyanusu'nda seyreden Melissa Kasırgası'nın hızının saatte 295 kilometreye ulaştığı ifade edildi.

Açıklamada, kasırganın Jamaika'nın güneybatısındaki New Hope bölgesini vurduğu belirtildi.

Kasırganın son derece tehlikeli ve ölümcül olduğu vurgulanan açıklamada, kasırga etkisini yitirene kadar halka sığınaklarından çıkmamaları çağrısı yapıldı.

Jamaika Afet Risk Yönetimi Konseyi Başkan Yardımcısı Desmond McKenzie de halkı sığınaklara girmeye ve evlerinden çıkmamaya çağırdı.

Jamaika Başbakanı Andrew Holness, "Ülkede 5. kategori düzeyindeki bir kasırgaya dayanabilecek hiçbir altyapı yok. Asıl mesele, toparlanma sürecinin ne kadar hızlı olacağı." ifadesini kullandı.

Jamaika Meteoroloji Kurumu yetkilileri ise 1850'li yıllardan bu yana ülkede görülen en güçlü kasırga olarak nitelendirilen Melissa'ya karşı tüm hazırlıkların yapıldığını ancak yıkıcı etkilerin kaçınılmaz olacağını söyledi.

ABD Ulusal Kasırga Merkezinden dün yapılan açıklamada, Melissa Kasırgası'nın şiddetinin, en tehlikeli seviye olan "5. Kategori" sınıfına yükseldiği bildirilmişti.